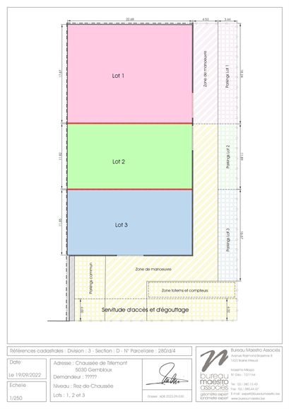
ENTREPOT en excellent état de ± 275 m² (lot 2 / lot3)
Espace de parkings de ± 41 m² (lot 2) et/ou ± 57 m² (lot 3) à l’avant
COUP D'OEIL PPR
Excellente situation dans zoning industriel
A proximité de grands axes routiers
DESCRIPTION
Hangar de ± 275 m² avec porte d’accès sectionnelle
Hauteur sous faîte de ± 7 m et sous corniche de ± 5 m
Zone de manœuvre devant l’entrepôt
Emplacement de parking ± 4 à 6 voitures
EQUIPEMENT
Porte sectionnelle - Compteur électrique - Eau
DISPONIBILITE
Immédiate
RENSEIGNEMENTS CADASTRAUX
Matrice n° 92253 Division : 3ème
Section : D N° 280D4P0000
SUPERFICIES
Au sol : ± 275 m² (lot 2 / lot 3)
Lot 2 ou 3
Longueur: ± 23 m
Largeur: ± 12 m
DIVERS
Année de Construction : 2016
Accès via servitude de passage (voir photo)
LE CHOIX DU LOCATAIRE RESTE LE PRIVILEGE DU BAILLEUR QUI N'AURA PAS A LE MOTIVER.
Descriptif informatif - Non contractuel - A titre informatif - Sans garantie et sous toutes réserves.
.png?format=webp&width=1920&height=auto)








